Listing provided courtesy of Kory Hamman of Hamman Real Estate. Last updated 2025-10-25 08:17:36.000000. Listing information © 2025 CRMLS.
Asking Price: $350,000
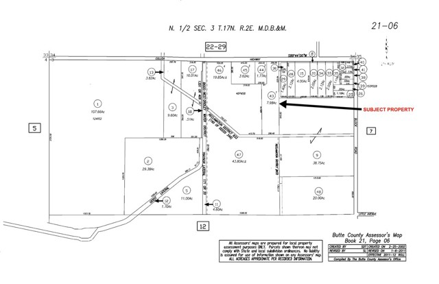
911 Colusa, Gridley CA 95948
Community:
This Manufactured On Land property was built in 1900 and is priced at $350,000. Please see the additional details below.
Located just West of Gridley, this expansive 7.98-acre property offers endless possibilities for agricultural ventures or peaceful country living with a well kept 2Br/2Ba mobile home. Whether you’re looking to expand your farming operation or simply enjoy serene rural living, this property is a perfect fit.
Property Features:
7.98 Acres of Premium Agricultural Land: The soil here is ideal for farming, offering great potential for crops, orchards, or other agricultural endeavors. Electronic security gate for added peace of mind.
2-Bedroom, 2-Bathroom Mobile Home (1,250 sq. ft.): Well-maintained and ready for you to move in. Spacious and functional layout perfect for comfortable living.
Bonus Room (450 sq. ft.): Additional space for your personal use—whether for an office, hobby room, or extra living area.
Large Covered Patio & Carport Area: Enjoy outdoor living in comfort, with plenty of space for relaxation or entertaining, plus covered parking.
1,750 sq. ft. Shop: Perfect for storage, work projects, or agricultural needs. The shop offers ample space for tools, equipment, or anything you need to keep your operations running smoothly.
This property combines peaceful country living with a prime location for agricultural success. With ample space, a solid home, and room for all your projects, it's an ideal place to call home.
Don’t miss out! Schedule a showing today to see all this property has to offer.
Note: Mobile home will not qualify for conventional financing.

















































